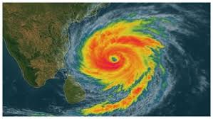
Cyclone Montha LIVE: बढ़ा तूफान का खतरा, बंगाल की खाड़ी में चक्रवात हुआ और ताकतवर; तटीय राज्यों में अलर्ट
बंगाल की खाड़ी में उठा चक्रवात मोंथा धीरे-धीरे गंभीर रूप लेता जा…
तुर्किए में जोरदार भूकंप से मची अफरातफरी, 6.1 तीव्रता से हिली धरती, इमारतें गिरीं
तुर्किए के उत्तर-पश्चिमी क्षेत्र में देर रात आए 6.1 तीव्रता के भूकंप…
सुजीत का स्वर्णिम दांव! उज्बेक पहलवान को 10-0 से हराकर भारत को दिलाया गोल्ड, महिला टीम बनी चैंपियन
भारत के उभरते पहलवान सुजीत कलकल ने अंडर-23 वर्ल्ड रेसलिंग चैंपियनशिप में…
